Hurikán Michael si na Floride vyžiadal dve obete

Hurikán na Floride.
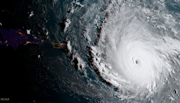
Zdroj: TASR/AP

Pri prechode Georgiou zoslabol na tropickú búrku.

Silný hurikán Michael, ktorý v stredu zasiahol severozápadnú časť amerického štátu Florida, si vyžiadal dve obete. O život prišiel vo floridskom okrese Gadsden County muž, na ktorého spadol strom. Druhou obeťou je 11-ročné dievča, ktoré v okrese Seminole County v štáte Georgia skonalo po tom, ako sa strom zrútil na dom.

Pri prechode Georgiou hurikán zoslabol na tropickú búrku a smeroval na územie štátov Južná a Severná Karolína, informoval vo štvrtok spravodajský server BBC.

Zdroj: TASR/AP

Keď udrel hurikán štvrtej kategórie na pevninu, sprevádzal ho vietor dosahujúci rýchlosť až 250 kilometrov za hodinu. Podľa doterajších záznamov išlo o tretiu najsilnejšiu búrku, aká kedy zasiahla pevninu USA. V štátoch Florida, Alabama a Georgia ostalo bez elektriny takmer 500.000 ľudí.

Vôbec najsilnejší hurikán, aký na severozápade Floridy zažili, priniesol podľa BBC na toto územie silné zrážky, vyvracal stromy a zaplavil prístavy.

Zdroj: TASR/AP

Floridský guvernér Rick Scott ešte pred úderom hurikánu nariadil evakuáciu približne 375.000 ľuďom žijúcim na pobreží Mexického zálivu, mnohí však jeho výzvu zrejme ignorovali. V oblasti zatvorili do konca týždňa všetky školy i úrady. Guvernér Scott povolal 3500 členov Národnej gardy.

Zdroj: Reuters

Obrovské škody živel napáchal v meste Panama City, kde je možné takmer na každom kroku vidieť polámané či vyvrátené stromy, strhnuté strechy či potrhané elektrické vedenie, uviedla agentúra AP.

Hurikán Michael si počas uplynulého víkendu vyžiadal na území Strednej Ameriky životy prinajmenšom 13 ľudí. Podľa BBC zahynulo šesť ľudí v Hondurase, štyria v Nikarague a traja v Salvádore.


PANAMA CITY/TASR
Voyo

Sledujte Televízne noviny vo full HD a bez reklám na Voyo

NAJČÍTANEJŠIE ČLÁNKY

Sledujte kanál spravodajstva Markízy

K téme Hurikán

Dôležité udalosti